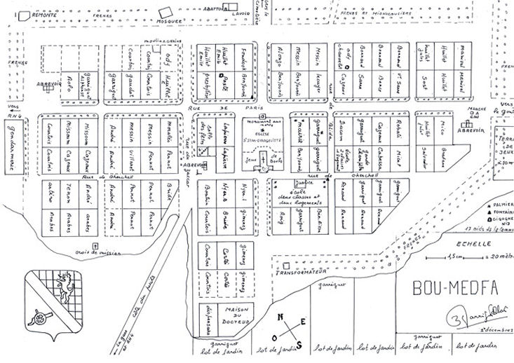
Plan Bou Medfa - Ville
De Encyclopédie-de-L'AFN_1830-1962
| ALGERIE |
Bou Medfa Nom actuel : ? |
||
|
|
Retour Liste des Villes |


(Plans réalisés par Alain Garriguet)
| ALGERIE |
Bou Medfa Nom actuel : ? |
||
|
|
Retour Liste des Villes |


(Plans réalisés par Alain Garriguet)